lanoticia1ro.com
Yo tampoco lo vi a la primera 😳…Ver más

Té de Ruda en ayunas por 15 días y no sufrirás más de…Ver más

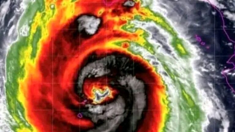
#Últimominuto el huracán Melissa cambia su trayectoria y se dirige a…Ver más

Yolanda Saldívar asombra al mundo al confesar que Selena no era…Ver más

ATENCIÓN a los Nuevos Síntomas!! Podrías estar infecta…Ver más

🚨COVID 19. Alerta mundial para los vacunados…Ver más

😱Si vas a tener relaci0nes íntimas con tu pareja ni se te ocurra ori…Ver más

Yolanda Saldívar asombra al mundo al confesar que Selena no era…Ver más

Yolanda Saldívar asombra al mundo al confesar que Selena no era…Ver más

💔 Entre lágrimas Chayanne da a conocer que padece can… Ver más

Prev

Next